99.000 €
Comision
Cumpărător
2%
Tip proprietate -
Regim agricol -
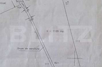
Suprafața totală 9066 mp
Deschidere (front stradal) 9 m

Descriere

Blitz propune spre achiziție o proprietate deosebită situată într-o zonă rezidențială de excepție din Aninoasa. Amplasat între case, acest teren reprezintă combinația perfectă între accesibilitate urbană și un peisaj natural superb, fiind ideal pentru construcția unei reședințe premium sau pentru investiție.

Configurație și suprafață
Proprietatea însumează 9.066 mp, oferind un spațiu generos pentru orice proiect:

1.135 mp intravilan: suprafața ideală pentru amprenta casei și curte.

7.931 mp extravilan: teren suplimentar care asigură liniște, intimitate și o priveliște neobstrucționată.

Forma terenului: frontul stradal este de 9 metri, însă proprietatea se deschide generos spre interior, ajungând la o lățime medie de 25 metri.

Infrastructură completă
Poziționarea este una strategică, beneficiind de toate facilitățile necesare:

Acces direct de pe stradă asfaltată.

Toate utilitățile sunt disponibile la poartă (gaz,

Blitz propune spre achiziție o proprietate deosebită situată într-o zonă rezidențială de excepție din Aninoasa. Amplasat între case, acest teren reprezintă combinația perfectă între accesibilitate urbană și un peisaj natural superb, fiind ideal pentru construcția unei reședințe premium sau pentru investiție.

Configurație și suprafață
Proprietatea însumează 9.066 mp, oferind un spațiu generos pentru orice proiect:

1.135 mp intravilan: suprafața ideală pentru amprenta casei și curte.

7.931 mp extravilan: teren suplimentar care asigură liniște, intimitate și o priveliște neobstrucționată.

Forma terenului: frontul stradal este de 9 metri, însă proprietatea se deschide generos spre interior, ajungând la o lățime medie de 25 metri.

Infrastructură completă
Poziționarea este una strategică, beneficiind de toate facilitățile necesare:

Acces direct de pe stradă asfaltată.

Toate utilitățile sunt disponibile la poartă (gaz, curent, apă, canalizare).

Zona este în plină dezvoltare, fiind înconjurată de vecinătăți de calitate.

Peisaj deosebit
Principalul atu al acestui teren este priveliștea panoramică asupra zonei. Fiind situat între case, beneficiați de siguranța unei comunități formate, dar și de liniștea specifică unui peisaj colinar de vis.

Preț: 99.000 Euro

Programează o vizionare pentru a descoperi potențialul acestei proprietăți unice.

Localizare

Informații utile

Zona Targoviste
Suprafața totală 9066 mp
Deschidere (front stradal) 9 m
   
Detalii comerciale
Comision cumpărător: 2%
Ultima actualizare: 11 februarie 2026
Ești interesat?