300.000 €
Comision
Cumpărător
0%
Tip proprietate -
Regim agricol -
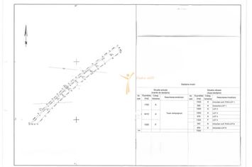
Suprafața totală 15000 mp
Deschidere (front stradal) 50 m

Descriere

DESTINE IMOBILIARE vă prezintă spre vânzare un teren în suprafață totală de 15.000 mp (3502 mp teren intravilan, restul de 11.498 mp in curs de includere in noul PUG al comunei Schitu Duca)

- Pozitionare: localitatea Poieni, comuna Schitu Duca, la doar 18 Km de Iasi

- Suprafață teren: 15.000 mp

- Structura: 2 loturi, a cate 7500mp fiecare



Potential de dezvoltare:

- Investitie pe termen lung

- Proiecte rezidentiale viitoare, pensiuni turistice, case individuale

- Teren cu deschidere directă la drumul național Iași–Vaslui

Racord facil la toate utilitățile, aflate chiar în fața terenului



Pret: 300.000 euro



Pentru detalii suplimentare sunați la: 0764 515 894

Nume agent: Florentina Andrei

Cod ofertă: P-5244

Localizare

Informații utile

Zona Poieni
Suprafața totală 15000 mp
Deschidere (front stradal) 50 m
   
Vecinătăţi
scoala, parc, transport in comun
Detalii comerciale
Comision cumpărător: 0%
Ultima actualizare: 16 aprilie 2026
Ești interesat?